MegaSack DRAW - This year's winner is user - rgwb
We will be in touch
Sitting in my office in Glasgow, looking out on another reasonable day, I might be forgiven for feeling a bit isolated from this natural crisis. Granted, my weekends have been filled with an unusual amount of snow, but it is winter and I enjoy it so i'm not complaining.
However, I'm getting more and more confused by what's actually happening with this "almost unparalleled natural crisis".
I see soldiers running around on the news and some fairly grave sounding sound bites being delivered by high ranking officials....but the figures seem to suggest it's not actually that bad? Some stuff from the BBC for example:
Roger Harrabin
Environment analyst
Is this an unprecedented crisis? It depends how you measure it.Certainly the rainfall in January across southern England is unprecedented in records stretching back to 1766. The soaking January was preceded by a wet December and followed by the start of a wet February. Storm has followed relentless storm in a way that makes the Met Office suspect manmade climate change is at play.
The rains have soaked the rocks and levels of water in boreholes are unprecedented as is the duration of the flooding, especially on the Somerset Levels.
But in terms of damage to life and property, well these floods are by no means unprecedented.
The Environment Agency says 5,800 properties are flooded since the start of December. A handful of people has died from weather-related incidents.
Compare that with 2007 when 55,000 homes were flooded. Or 1946-47 when 100,000 properties were inundated as snow melted.
Or 1607, when more than 2,000 people died when a storm swept up the Bristol Channel.
The comparisons aren't completely accurate because flood defences have increased over the years.
The Environment Agency says for instance that they have defended 1.3 million homes that otherwise would have been flooded this year.
[url= http://www.bbc.co.uk/news/uk-26153889 ]Link[/url]
[url= http://www.bbc.co.uk/blogs/paulhudson/posts/UK-flooding-put-in-context ]UK flooding put in context[/url]
Am I missing something? Why has this bout of bad weather prompted such a reaction?
Is it political, the south overreacting, media frenzy or it's actually worse than it looks?
Crucially/cynically its roximity to London may be a factor contributing to the hype. Certainly life in and around Reading as been greatly inconvenienced by all this water.
I have yet to see a reporter covering the crucial topic, namely the state of the local trails.
perspective you say?
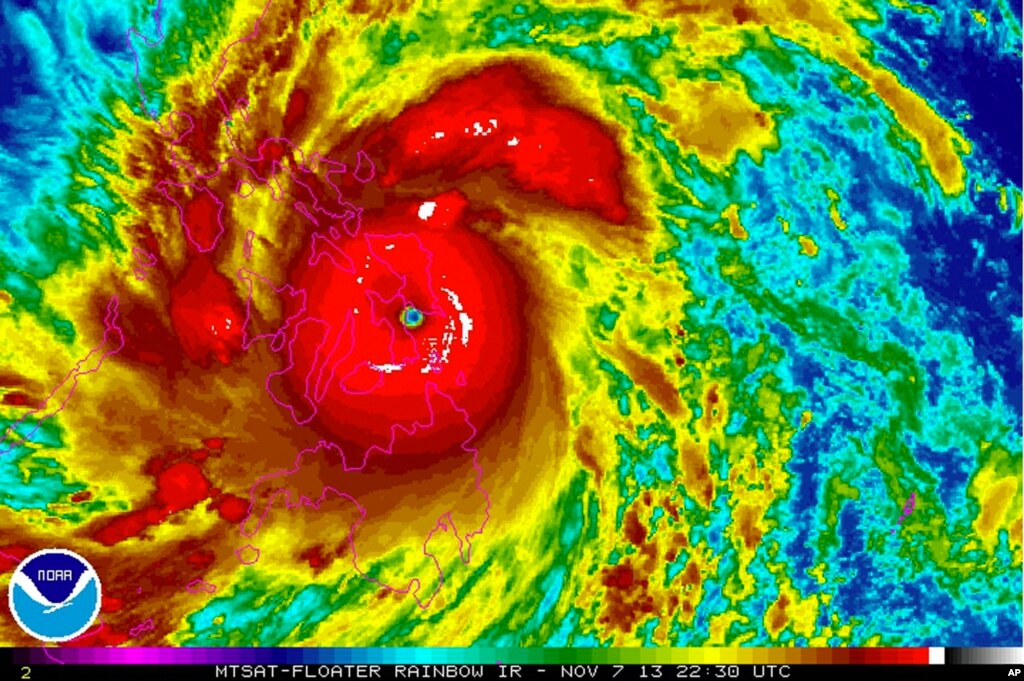
The strongest tropical cyclone of the year has slammed into the central Philippines after President Benigno Aquino ordered mass evacuations to reduce the risk of disaster.Super Typhoon Haiyan, known as Yolanda in the Philippines, made landfall in Samar province early Friday, with sustained winds of 315 kilometers per hour and gusts of 379 kilometers per hour.
[img]
[/img]http://www.abc.net.au/news/2013-11-08/an-worlds-most-powerful-typhoon-makes-landfall-in-philippines/5078216
It's affecting the London commuter belt, so it assumes more importance. London media know where the Thames is, so naturally they wantto eport on it.
I wasn't going to draw comparisons with international disasters, but I completely agree. I was in Vietnam when the typhoon hit and whilst we managed to stay clear (thanks to the luxury of being able to afford air travel, hotels and being able to drop everything)...something most of the locals couldn't do), we travelled through affected areas afterwards. Humbling stuff.
I was also working/living in Hull during the 2007 floods, which seemed to me to be much worse in terms of damage caused to homes
peterfile - MemberI was also working/living in Hull during the 2007 floods, which seemed to me to be much worse in terms of damage caused to homes
Are you working/living in the flooded areas this time round?
Storm has followed relentless storm in a way that makes the Met Office suspect manmade climate change is at play.
2 decades of no warming: Weather != climate
3 months of wet weather: OMG CATACLISMIC MAN MADE CLIMATE CHANGE
Are you working/living in the flooded areas this time round?
No, I'm only going by what i'm seeing on the media and facts, which is what the whole thread is about. Figures suggest that [b]10 times[/b] more homes were affected in 2007. Therefore, at the moment, the only thing which appears to me to be "unparalleled", is the use of superlatives.
The Environment Agency says [b]5,800[/b] properties are flooded since the start of December. A handful of people has died from weather-related incidents.Compare that with 2007 when [b]55,000[/b] homes were flooded.
peterfile - MemberAre you working/living in the flooded areas this time round?
No, I'm only going by what i'm seeing on the media and hard facts, which is what the whole thread is about.
It is. I imagine the situation seems fairly crisis like if you're living somewhere under 5 feet of water, with more serious storms yet to come and being told that the water won't recede for months, though.
somerset has been under water since xmas iirc, the thames commuter belt since last weekend.
why did somerset not get all the military help?
i'm not disputing that it's horrible for those affected theflatboy, whether it's one home or a million. My point is that it doesn't appear to be as bad as is being described. Perhaps the comparison is to previous natural crisis in the South?
why did somerset not get all the military help?
the military turned up, decided there was nothing they could do.
the media and political attention certainly did seem to ramp up a notch when the flooding spread from SW into SE commuter belt. If I had been in Somerset and flooded since xmas this would have annoyed me.
the military turned up, decided there was nothing they could do.
in somerset?
Power cuts and having to mop out a bit of raw sewage in Chertsey is deeply unpleasant, I grant you, but the amount of hysteria driven by the authorities is quite something.
As a population, we've handed over all responsibility for self-sufficency to these authorities and now we revert to a child-like helplessness when anything untoward happens.
Shouting at the Environment Agency seems to be the default response for a godless age.
Perhaps the comparison is to previous natural crisis in the South?
Even off the top of my head I can think of a few in recent memory that were far worse in the south - the 'hurricane' in 1987, this one:
http://www.itv.com/news/2013-12-05/in-pictures-the-storm-surge-of-1953/
peterfile, it's more to do with having 24hrs of news to fill and a great opportunity for endless points scoring from politicians, the media and the great unwashed.
Simply a case of the monty pythons yorkshiremen really. It's making the news down here in Oz where we have had areas on fire bigger than wales for a while. The posh people with wet range rovers do make good tv though.
Shouting at the Environment Agency seems to be the default response
I thought we were meant to be blaming gay people for wanting to get married? 😕
why did somerset not get all the military help?
Because it would have been a PR disaster for Dave to let the same happen again.
http://www.bbc.co.uk/blogs/paulhudson/posts/UK-flooding-put-in-context
If you measured severity using a time related unit, like floodhours, I'm sure this years cataclysm would stand up well to previous apocolyptic winters.
As for the old North V South thing - well Hull c'mon, you'd fix the whole town for a price of a half decent semi in Surrey 😛
The posh people with wet range rovers do make good tv though.
and people sitting in a boat being pulled along by firemen when the water is ankle deep. Or being carried by a soldier through water less than knee deep. Do these people have no pride?
why did somerset not get all the military help?
Presumably because the county council didn't ask for it. In order to get military assistance the local authority has to request it, it's not a central government decision, per se, to send in the troops. I could go in to the detail but it gets a bit long winded.
By the time the good leaders of Somerset had asked for military help, it was too late for us to be able to actually do anything practical to prevent further flooding as it'd already happened. A lot of people who say "call in the Army" think we can do all sorts of things in these situations, when in reality we're actually fairly limited in capability - sandbag filling, vehicles capable of fording and a few boats are about the sum of it. We're not some sort of rescue service!
When Noah rocks up its a crisis till then.
davetrave, I was not having a pop.
I think it was pointless calling in the forces. sandbags were never gonna stop this.
We should just wait for the foreign aid and medicin sans frontiers to start rolling in
I was in Staines yesterday on business and a couple of things strike me.
The flooding looks worse than it is, to me, a lot of it is on watermeadow and floodplains and the property directly next to the river is fine. I stayed overnight in a riverside hotel! However, in 15 year of going to work in the Staines area the flooding is unprecidented.
Lots of houses that are affected have clearly been build below previous high water levels in the 19th and 20th century.
However, more homes have actuall flooded in Berks / Surrey than Somerset, plus the proximity to London makes the rolling outside broadcast a bit easier
Also the water doesn't show any sign of abating yet so businesses are begining to suffer.
The storm surge, or the hurricane of '87 were isloated incidents. The storms at the moment seem to be relentless, even if individually they aren't that bad. I think thats what makes it significantly different to anything that's gone before.
Media will hype up anything, best to ignore all that.
"Unparalleled Natural Crisis?" No. It's just the army doing as ordered by their political masters; exaggerate the scale of the storms to minimise the percieved incompetence of their aforesaid masters.
I think it's all just a viral marketing campaign to do with a certain Russell Crowe film.
Horrific as it is for the people affected, unfortunately we have really bad weather sometimes, and we've just had a bad run of it.
when in reality we're actually fairly limited in capability
Can't you just shoot the water? Blow it up a bit?
Why has this bout of bad weather prompted such a reaction?
Because it has affected the more densely populated areas of the UK. You may recall a few years ago when 90% of country was covered in snow and ice and the meeja gave it a few minutes coverage after the usual guff about the Middle East and politics. Then one day it snowed in London and - OMG - people had difficulty getting home 🙄
Hearts and minds molgrips, you need to get the water on side and adopt a democratic system of flooding.
ton - Member
davetrave, I was not having a pop.
I think it was pointless calling in the forces. sandbags were never gonna stop this.
Nah, I know you weren't! But I just sit and shake my head when I see people on the news saying "we want the Army" without actually thinking about what they want us to do or can do. I've a lot of experience in the military contribution to civil emergencies and it's something I've seen a lot of - people do, for whatever reason, genuinely think we're the solution to any and every problem!
What counts as a "natural crisis"? Is it just weather or can we include plagues? The Black Death was a bit more serious than flooded real estate and disrupted trains.
It affected the densely populated home counties tory voting areas this time. And the truth is sinking in, even to them, that this govt is an incompetent sham.
when in reality we're actually fairly limited in capabilityCan't you just shoot the water? Blow it up a bit?
😆
It's just the army doing as ordered by their political masters; exaggerate the scale of the storms to minimise the percieved incompetence of their aforesaid masters.
Eh? At what point has the Army done anything to exaggerate the scale of the problem? It looks to me more like it's the media who're doing that...
That army person on the post Cobra press conference yesterday.
So one soundbite yesterday, in something that's been going on for well over a month being whipped up by the press, and that's your justification...? Tha's a bit weak...
Staying strictly UK, this thread isn't here to draw international comparisons.
Is it unprecedented? No, but, it is extreme, the return periods and duration of the rain combined with high tides and wind has caused a lot of flooding and damage in a relatively short space of time.
Houses that were (rightly or wrongly) perceived to be safe-ish, have been inundated. Although in the flood plain a lot of these properties have not been flooded in very long time or at all, people tend to assign future likelyhood based on past events. Our brains aren't good at handling stats and likelyhoods.
Is the media furory overkill? Yes definitely but I don't believe the severity of something should be judged by its media hype. The two are not dependent. See X factor on ice vs South Sudan for reference.
No doubt we'll see more of it as time goes on.
Chris Evans had John Kettley on this morning about it - they kind of concluded that yes, this weather is pretty extreme for us, more for the relntlessness than the intensity. It's like there's three storms hovering off the coast, we've had one, and now the other two are lining up to have a bash.
The storm surge, or the hurricane of '87 were isloated incidents. The storms at the moment seem to be relentless, even if individually they aren't that bad. I think thats what makes it significantly different to anything that's gone before.
The 53 surge killed 100 people on Canvey Island, and affected great swathes of the east coast
Even the 87 windstorm killed 18 in one day, destroyed large amounts of infrastructure and left hundreds of thousands without power, in some cases, for many weeks.
Cumulatively, the current bad weather is not even beginning to approach this scale.
Not unprecented either in the UK or elsewhere.
Hyperbole, 24 hour news, politicos, headlines....the usual mixture.
Can't you just shoot the water? Blow it up a bit?
Surely you can dig some holes, fill them in, repeat, etc?
They should pipe it up north. Some of our reservoirs aren't even full yet.
Okay, we have a lot of rain and high seas etc but if it wasnt for human meddling in the landscape and greed by developers and shortsightedness by planners and people buying houses etc then people wouldnt be in this mess.
If it wasn't for human meddling in the landscape we wouldn't all be here now would we?
Can't you just shoot the water? Blow it up a bit?
That's what they've called the Army in for isn't it?
I guess we could boil it away? How many millions of tons of water do you reckon we have? Need to do a quick back of the envelope calculation.
If it wasn't for human meddling in the landscape we wouldn't all be here now would we?
Well we are the biggest natural disaster to hit the planet.
If you want extreme weather disasters, don't forget the '52 Lynmouth flood. 9 inches of rain in 24 hours, 100 houses destroyed and 34 dead overnight.
If we're including disasters which are the combination of weather and man's meddling, how about this one? 4,000 plus dead over four days and its aftermath.
http://www.theguardian.com/environment/gallery/2012/dec/05/60-years-great-smog-london-in-pictures
I do believe that's it's only technically a disaster if Bankers are inconvenienced. Otherwise, it's just a minor incident.
John Kettley is a weatherman, a weatherman, a weatherman...
the media and political attention certainly did seem to ramp up a notch when the flooding spread from SW into SE commuter belt.
Why is it surprising or unfair that flooding is a bigger deal when it happens somewhere lots of people live instead of a place where practically no one lives?
I think it's 'unparalleled' as the more accurate 'bit of a pain in the ass but not really all that problematic for the vast majority of people even in the South' isn't quite so media friendly.
I am being inconvenienced at the moment with the village fairly well flooded in parts, but it isn't exactly armageddon. Ocado are still delivering 😀
I don't think comparing fatalities with much older events is really a valid comparison; safety is a much higher priority now so stuff is so much safer and many relevant fields are simply much better now; communications, infrastructure, risk management and weather forecasting have greatly improved in the last few decades.
If Lynmouth happened now it could have been predicted earlier, residents could have been informed more reliably, rivers and forests are managed with flood risk a higher priority, and assistance could have arrived more rapidly and much better equipped.
I was quite surprised to see Army 4 tonners rolling down Marlow high street last night. But then again I did see that the kiddy swings in the park had been cordoned off so maybe more help was needed. We added our names to the local volunteer list, but we keep being told that no requests for help have been received around here.
This morning I spoke to an old lady who lives on Long Island in the middle of the Thames. She has lived there for 60 years and today she decided to move out to a hotel. Apparently the water was lapping at her bottom step. She inferred that having those 60 years experience meant she knew more about Thames flooding than most. She was not worried too much saying that the signs were there that the water was managing itself and it would not get that much worse.
If Lynmouth happened now it could have been predicted earlier
you mean like boscastle was?
Yep, Operation 'Bugger All' seems to sum it up nicely.
while i find it quite sad that any/every 'disaster' must be jumped upon by both the media (to fill airtime) and politicians (for pre election point scoring)
i am actually more offended by the general publics greedy consumption of that media* and knee jerk affiliation with their previously chosen and often lifelong political party (none of which caused this nor are able to fix it)
*guilty as the rest of you - on the news last night they found someone willing to blame the Thames on a lack of dredging, that could only be topped if he had gotten in a mention of either Thatcher or Hitler.
When the affluent are in the effluent the politicians suddenly wake up.
Too little effort too late, same old, same old.
you mean like boscastle was?
Fair point! Even so though, wikipedia says the total cost to life and limb was a single broken thumb, so while it's not perfect it's still an enormous improvement!
Yes it has rained a lot and for a long time, but this is the UK where it rains a lot and for a long time.
So whats different this time?
Not dredging rivers is the obvious mistake? of is it?
I suggest the deliberate choice to abandon water management (dredging rivers, clearing culverts, chines, road drains, etc,etc) by the last 3 Government.s The Environment Agency bending to pressure groups such as RSPB, save the water voles, etc, etc allowing what money that was available to be frittered away saving animals not protecting lives and property.
So you see BLAME can be apportioned and My Mate Dave doesn't want to attract any blame especially as the election is just round the corner, as it was succinctly put earlier
affluent are in the effluent it matters
So send in the Army after you made 20,000 of them redundant and look for a scape goat, thankfully one of Blair's cronies head the EA, phew that was stroke of luck.
Is it political, "YES" the south overreacting "YES", media frenzy "YES or it's actually worse than it looks "Its bad but in comparison to 2008 not really"
http://www.bbc.co.uk/news/uk-26165914 First few mins London 1947
Lots of other places flooded over the years mostly oop north and Wales, and nothing got done, strangely when Effluent meets affluent, the army is brought in, perhaps the ones in power read my previous thread title and thought, yes what do they do,lets get them to work,makes good tv snippets, and shows daily mail readers we are doing something.
http://singletrackworld.com/forum/topic/what-do-army-squaddies-do-all-day-when-there-is-no-war
Staines-Upon-Thames???!!! 😯
WTF?!
That's like Hamble-le-Rice. FFS!
Since when was Staines given a fancy name with hyphen's? About the time someone figured that no one could afford inner M25 property and it's cheaper to make a very dour concrete town sound a little more desirable to commute from. Must be doing wonders for the property prices, except for the current situation of it being Staines-in-Thames 🙂
*guilty as the rest of you - on the news last night they found someone willing to blame the Thames on a lack of dredging, that could only be topped if he had gotten in a mention of either Thatcher or Hitler.
Not often we see Godwin's law in action on STW!
But it makes the best news we've had in a long time, I just love seeing 7 figure Thames view homes full of water, don't see why the reporters aren't just laughing.
Yes it has rained a lot and for a long time, but this is the UK where it rains a lot and for a long time
Not like this. This is pretty unusual.
I don't remember the Yorkshire floods lasting months btw, did they?
So Beeboid Harrabin and the Met Office suspect man made climate change is at play. These would be same people who in November forecast a drier than average winter ?
The gymnastics being used to link the current floods and AGW are gold medal worthy.
I don't remember the Yorkshire floods lasting months btw, did they?
Thats because the news got bored and went off to cover a stolen horse!
As it's on the news again down here in Oz there is nothing about the areas that have been under for months just the posh bits.
Did they last for months then?
Met Office suspect man made climate change is at play. These would be same people who in November forecast a drier than average winter
a) no
b) they said some signs might indicate a dry winter but you can never really tell
c) stop being so thick
Radio 2 news this morning referred to the floods as the "worst in living memory".
b) they said some signs might indicate a dry winter but you can never really tell
So what gives you any confidence in their longer term predictions?
peterfile - Member
Radio 2 news this morning referred to the floods as the "worst in living memory".
Was that before a Jeremy Vine Factastic(TM) phone in
haha, no idea 🙂 just flicked over at 7am to catch Moira Stewart delivering the bad news to the [s]nation[/s] south
http://www.bbc.co.uk/news/magazine-26172688
"This year, each of the [rain] events that we've seen has not been notable but the rainfall accumulation has been exceptional," says Simon Parry from the Centre for Ecology and Hydrology. He points to the figures for the River Thames, which has been above what is regarded as a notable high-flow mark since Christmas Eve, "which is twice as long as any time in the last 130 years".
Meanwhile, 200,000 Indonesians affected by eruption of Mt Kelud...




